1, Fordsville, KY, Ohio County, 42347
1, Fordsville, KY, Ohio County, 42347Basics
- Date added: Added 3 months ago
- Category: COMMERCIAL SALES
- MLS ID: 93377
- Status: Active
Description
-
Description:
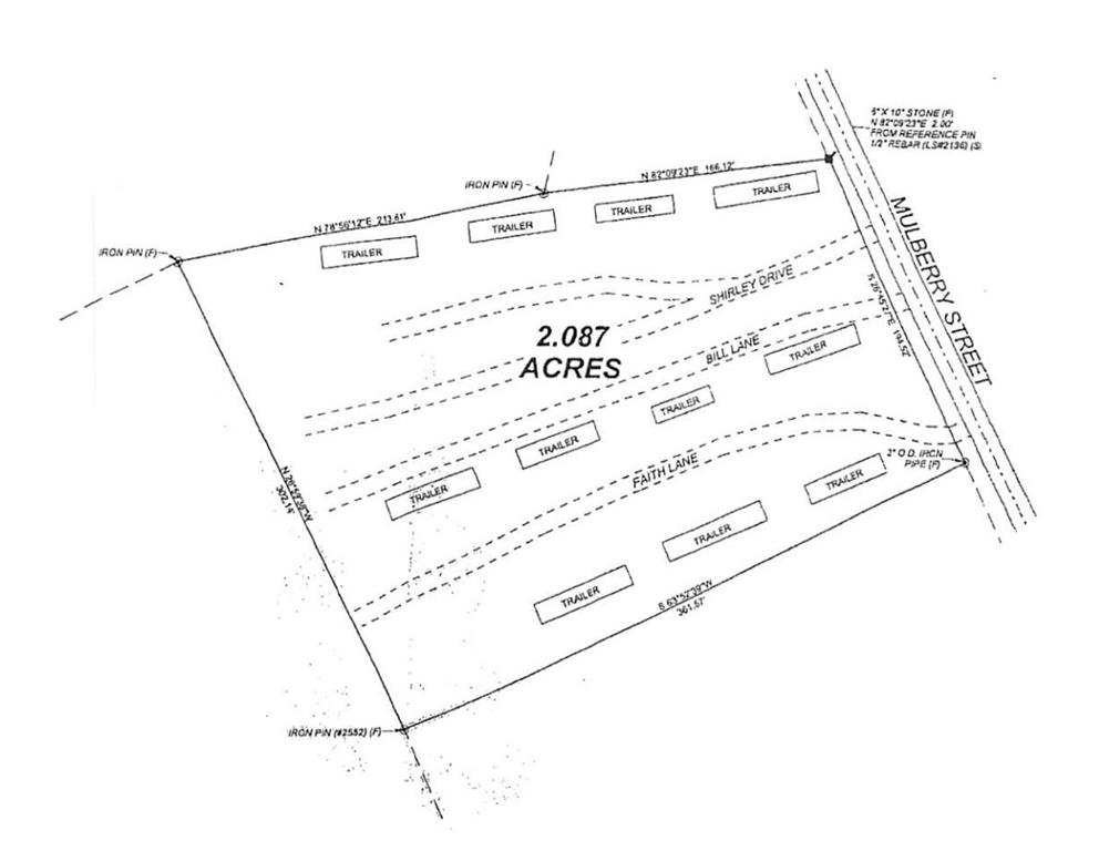
This fully licensed mobile home park offers a prime investment opportunity with 12 lots on 2.087 acres. Each lot is equipped with essential utilities including electric, water, and city sewer. Currently, 4 of the 12 lots are rented, providing immediate income potential. This mobile home park is conveniently located just 0.2 miles from Fordsville Elementary School and 0.7 miles from Kimball International manufacturing facility making this investment ideal for families and the local demand for employees and affordable housing.
Show all description
Details
- Type: Mobile Home Park
- Property Style: Other-See Remarks
- Floor covering: Other-See Remarks
- Parking: Partially Paved
Amenities & Features
- Amenities:
Listing Information
- Listing Provided Courtesy of: CHANGE OF PLACE REAL ESTATE, LLC